Пакет программ MATLAB для развертывания в качестве автономных приложений
Приложение Application Compiler упаковывает программы MATLAB ® в приложения, которые могут работать вне MATLAB.
Панель инструментов MATLAB: на вкладке «Приложения» в разделе «Развертывание приложения» щелкните значок приложения.
командная строка MATLAB: Enter applicationCompiler.
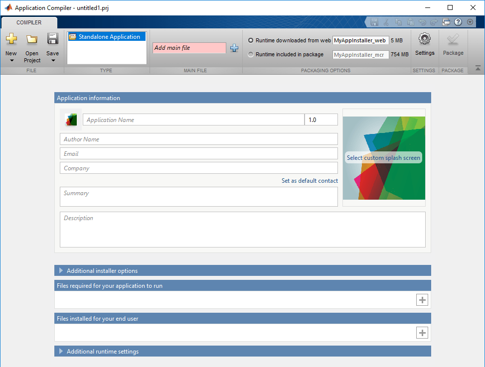
main file - имя функции для упаковкиИмя функции для упаковки в виде символьного вектора. Выбранная функция является точкой входа для пакетного приложения.
packaging options - метод установки среды выполнения MATLAB с пакетным приложениемМожно решить, включать ли в созданное приложение резервный вариант среды выполнения MATLAB для установщика среды выполнения MATLAB, выбрав один из двух вариантов в разделе Опции упаковки. Включение программы установки MATLAB Runtime в пакет значительно увеличивает размер пакета.
Среда выполнения, загруженная из Интернета - создает программу установки, которая загружает среду выполнения MATLAB и устанавливает ее вместе с развернутым приложением MATLAB.
Среда выполнения, включенная в пакет - создает программу установки, включающую программу установки среды выполнения MATLAB.
При первом выборе этого параметра вам будет предложено загрузить программу установки MATLAB Runtime или получить компакт-диск, если у вас нет доступа к Интернету.
Files required for your application to run - файлы, которые должны быть включены в приложениеФайлы, которые должны быть включены в приложение в качестве списка файлов.
Files installed for your end user - файлы, установленные на компьютере конечного пользователя при установке приложенияДополнительные файлы, установленные с приложением в виде списка файлов.
Additional runtime settings - варианты выполнения для приложенияУстановите соответствующие флажки, если во время выполнения не требуется отображать окно команд или требуется создать файл журнала.
Additional parameters passed to MCC - флаги, управляющие поведением компилятораФлаги, управляющие поведением компилятора как символьного вектора.
Testing Files - Папка, в которой хранятся файлы для тестированияПапка, в которой файлы для тестирования хранятся в виде символьного вектора.
End User Files - Папка, в которой хранятся файлы для создания пользовательского установщикаПапка, в которой файлы для создания пользовательского установщика хранятся в виде символьного вектора.
Packaged Installers - Папка, в которой хранятся созданные установщикиПапка, в которой созданные установщики хранятся в виде символьного вектора.
Application Name - наименование установленного приложенияИмя установленного приложения в виде символьного вектора.
Например, если имя foo, установленный исполняемый файл будет foo.exe, начальным пунктом меню будет foo. Папка, созданная для приложения, будет . InstallRoot/foo
Значением по умолчанию является имя первой функции, указанной в поле «Главный файл» приложения.
Version - версия созданного приложенияВерсия созданного приложения в виде символьного вектора.
splash screen - изображение, отображаемое в установщикеИзображение, отображаемое в программе установки как изображение.
Email - Адрес электронной почты, используемый для обращения в службу поддержки приложенийАдрес электронной почты, используемый для обращения в службу поддержки приложений в качестве символьного вектора.
Summary - краткое описание примененияКраткое описание применения в виде символьного вектора.
Description - подробное описание примененияПодробное описание применения в качестве символьного вектора.
Default installation folder - Папка, в которой установлено приложениеПапка, в которой приложение устанавливается в виде символьного вектора.
Installation notes - примечания о дополнительных требованиях к использованию приложенияПримечания о дополнительных требованиях к использованию приложения в качестве символьного вектора.