В этом примере показано, как указать, что пользовательский тип данных заменяет настройки, чтобы использовать во время шага набора области значений в Fixed-Point Tool.
По умолчанию Fixed-Point Tool соблюдает типы данных и любое переопределение типа данных, заданное на модели. Можно использовать Fixed-Point Tool, чтобы заменить типы данных в модели с, удваивается, одиночные игры, или масштабируемый удваивается. Чтобы задать переопределения пользовательского типа данных для элементов в вашей модели, используйте set_param функция.
Откройте fxp_custom_dto модель. Модель состоит из трех подсистем. Обновите схему (Ctrl+D), чтобы отобразить типы данных, в настоящее время установленные на модели.
open_system('fxp_custom_dto')

Исходная модель использует тип данных с двойной точностью для каждой из этих трех подсистем в модели.
Заменять типы данных в Subsystem A и Subsystem C с одиночными играми используйте set_param функция:
set_param('fxp_custom_dto/Subsystem A','DataTypeOverride','Single'); set_param('fxp_custom_dto/Subsystem C','DataTypeOverride','Single');
Обновите схему и смотрите модель, чтобы подтвердить, что переопределение типа данных было применено.

Во вкладке Apps fxp_custom_dto модель, выберите Fixed-Point Tool.
В Fixed-Point Tool выберите New> Range Collection. В соответствии с Системой в соответствии с проектом (SUD), выберите fxp_custom_dto. Под Режимом Набора Области значений выберите Simulation Ranges.
Под Собирают Области значений, выбирают Use текущие настройки. Нажмите Collect Ranges.
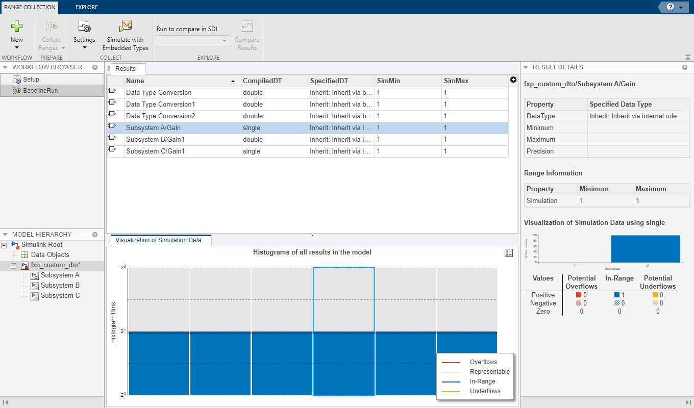
Fixed-Point Tool собирается, области значений через симуляцию с помощью текущего переопределения типа данных применились модели. В этом примере, типах данных Subsystem A и Subsystem C заменил с одиночными играми и Subsystem B остается в двойной точности.
Проверять, что настройки переопределения пользовательского типа данных задали использование set_param функция была применена к модели во время запущенного набора области значений, смотрит электронную таблицу Результатов в Fixed-Point Tool.
Скомпилированный тип данных (CompiledDT) столбец для BaselineRun показывает тот Subsystem A и Subsystem C используемый single тип данных, в то время как остальная часть модели была симуляцией с помощью double тип данных.

Когда вы симулируете модель, которая содержит модели, на которые ссылаются, настройки переопределения типа данных для модели верхнего уровня не управляют настройками для моделей, на которые ссылаются. Необходимо задать эти настройки отдельно для моделей, на которые ссылаются, и если настройки должны быть сопоставимыми. Например, если вы устанавливаете установку переопределения типа данных модели верхнего уровня удваиваться и модель, на которую ссылаются, чтобы использовать локальные настройки, и модель, на которую ссылаются, использует типы данных с фиксированной точкой, затем проблемы распространения типа данных могут произойти.
Когда вы изменяете настройки переопределения типа данных для любого экземпляра модели, на которую ссылаются, настройки изменяются на всех экземплярах модели и на самой модели, на которую ссылаются.
Инструментирование фиксированной точки и переопределение типа данных | Преобразуйте модель, на которую ссылаются, в фиксированную точку