Этот пример использует fxpdemo_feedback модель, чтобы продемонстрировать, как использовать Итеративный рабочий процесс Преобразования Фиксированной точки в Fixed-Point Tool. Итеративный рабочий процесс в инструменте автоматизирует общие задачи сбора данных об области значений минимакса во время симуляций для использования в автоматическом выборе типов данных с фиксированной точкой для блоков. Можно сконфигурировать любую фиксированную точку способный блок в Simulink®, чтобы принять типы данных с фиксированной точкой, предложенные инструментом. Можно вручную задать типы данных для ключевых блоков, таких как входные порты и выборочно отключить автоматизированное масштабирование в модели на базисе блока блоком. Это дает Fixed-Point Tool больше информации, чтобы работать с и результаты в автоматически выбранных масштабированиях фиксированной точки, которые совместимы с ключом, вручную выбрал масштабирования.
fxpdemo_feedback Модельfxpdemo_feedback модель содержит цифровой контроллер с исходными предположениями для типов данных с фиксированной точкой, уже заданных в Controller подсистема. В этом примере вы задаете известный допуск к объекту выход, предлагаете новые типы данных с фиксированной точкой для Controller подсистема, затем примените предложенные типы данных к модели.

На вкладке Apps Simulink®, под Генерацией кода, кликают по значку приложения.
Запустите итеративный рабочий процесс Преобразования Фиксированной точки. В Fixed-Point Tool нажмите New> Iterative Fixed-Point Conversion.
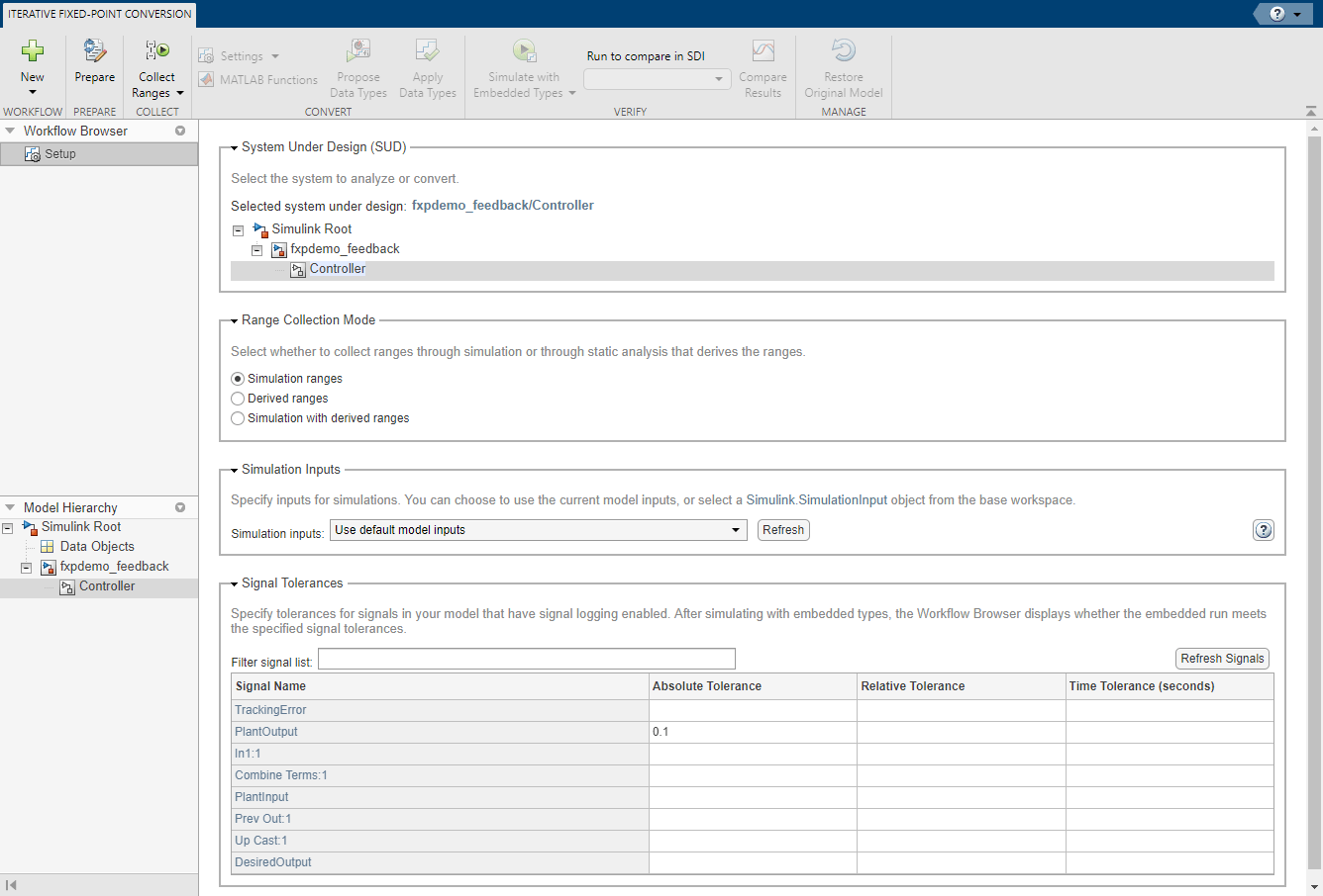
Выберите подсистему, которую вы хотите преобразовать. В соответствии с Системой в соответствии с проектом (SUD), выберите Controller подсистема.
Выберите метод сбора области значений использовать. Под Режимом Набора Области значений выберите области значений Simulation.
Задайте Входные параметры Симуляции. В данном примере используйте входные параметры модели по умолчанию для симуляции.
Задайте допуски сигнала к регистрируемым сигналам. Установите Абсолютную погрешность Plant Output предупредите к 0.1.

Чтобы подготовить модель к преобразованию фиксированной точки, нажмите Prepare. Fixed-Point Tool создает резервную версию модели и проверяет модель на совместимость с процессом преобразования. Для получения дополнительной информации о проверках подготовки, смотрите Использование Fixed-Point Tool, чтобы Подготовить Систему к Преобразованию.

Чтобы собрать области значений, кликните по стреле кнопки Collect Ranges и выберите Двойную точность. Нажмите Collect Ranges, чтобы запустить симуляцию набора области значений.

Когда вы выбираете Двойную точность как режим набора области значений, инструмент симулирует fxpdemo_feedback модель с включенным переопределением типа данных. Переопределение типа данных выполняет глобальное переопределение типов данных с фиксированной точкой в модели, таким образом, избегая эффектов квантования. Это позволяет вам установить идеальную базовую линию с плавающей точкой для поведения вашей модели.
Результаты набора области значений хранятся в BaselineRun. Электронная таблица Результатов отображает сводные данные статистических данных, собранных во время симуляции набора области значений, включая в настоящее время заданные типы данных на модели (SpecifiedDT), минимуме симуляции и максимальных значениях симуляции. Скомпилированный тип данных (CompiledDT) отображения столбца double для всех объектов в Controller подсистема, указывая, что переопределение типа данных было применено во время симуляции набора области значений.
Можно нажать на любой результат посмотреть дополнительные детали в Панели Результатов. Визуализация панели Данных моделирования отображает сводные данные гистограмм битов, используемых каждым объектом в вашей модели. Можно настроить информацию, отображенную в электронной таблице Результатов, или использовать вкладку Explore, чтобы отсортировать и отфильтровать эти результаты на основе дополнительных критериев. Для получения дополнительной информации смотрите Представления Управления в Fixed-Point Tool.

Чтобы сконфигурировать настройки, чтобы использовать для предложений по типу данных, расширьте стрелу кнопки Settings. В данном примере используйте настройки по умолчанию.

Чтобы предложить типы данных на основе собранных областей значений и заданные настройки предложения по типу данных, нажмите Propose Data Types. Инструмент использует все доступные данные об области значений, чтобы вычислить предложения по типу данных, которые могут включать проект минимальные или максимальные значения, симуляция минимальные или максимальные значения, и получили минимальные или максимальные значения. Типы данных предложены для всех объектов в системе в соответствии с проектом, установка типа выходных данных Блокировки которого против изменений параметром Fixed-Point Tool очищена.
Электронная таблица Результатов обновляется, чтобы показать предложенные типы данных в столбце ProposedDT. Fixed-Point Tool позволяет вам выборочно применять предложения по типу данных к объектам в вашей модели. В электронной таблице используйте флажки Accept, чтобы задать предложенные типы данных, что вы хотите обратиться к своей модели. По умолчанию приложение принимает все предложения по типу данных, которые отличаются от в настоящее время заданных типов данных. В данном примере используйте значение по умолчанию.

Чтобы записать предложенные типы данных в модель, нажмите Apply Data Types. Инструмент обновляет столбец SpecifiedDT, чтобы показать, что типы данных были применены к модели.
Симулируйте модель с помощью прикладных типов данных с фиксированной точкой. Расширьте стрелу кнопки Simulate with Embedded Types и выберите типы данных Specified. Затем нажмите Simulate with Embedded Types.

Затем симулируйте модель с помощью типов данных с фиксированной точкой, в настоящее время заданных на модели. Расширьте стрелу кнопки Simulate with Embedded Types и выберите типы данных Specified, затем щелкните *, Симулируют со Встроенными Типами.
Fixed-Point Tool симулирует модель с помощью новых типов данных с фиксированной точкой и регистрирует минимальные и максимальные значения и данные о переполнении для всех объектов в системе в соответствии с проектом. Эта информация хранится в новом запуске под названием EmbeddedRun. Значок рядом с EmbeddedRun отображает состояние передачи, указывая, что все сигналы в системе в соответствии с проектом соответствуют заданным допускам. Визуализация Данных моделирования разделяет обновления на области, чтобы отобразить новый EmbeddedRun данные.

Сравнить идеальные результаты, сохраненные в BaselineRun с недавно прикладными типами данных с фиксированной точкой выберите EmbeddedRun от Запуска, чтобы выдержать сравнение в выпадающем меню SDI. Затем нажмите Compare Results, чтобы открыть Инспектора Данных моделирования.
В Инспекторе Данных моделирования выберите PlantOutput как сигнал выдержать сравнение.

График выходного сигнала объекта для EmbeddedRun в заданной полосе допуска.
Если поведение конвертированной системы не удовлетворяет ваши требования или если вы хотите исследовать эффект дополнительных выборов типа данных, можно предложить новые типы данных после применения новых настроек предложения. Продолжите выполнять итерации, пока вы не находите настройки, для которых поведение фиксированной точки системы приемлемо.
После процесса преобразования, если вы хотите восстановить свою модель к ее состоянию в начале процесса преобразования, нажимают Restore Original Model. Удалены любые изменения, внесенные в вашу модель после этапа подготовки преобразования.