Прежде чем использовать инструмент Fixed-Point Tool для создания предложений по типу данных для модели, настройте модель в Simulink ® и подготовьте систему к преобразованию.
Если используется информация о минимальном и максимальном диапазонах проекта, добавьте эту информацию в блоки. Для автоматического масштабирования с использованием производных данных необходимо указать минимальное и максимальное значения конструкции по крайней мере на входных данных модели. Анализ диапазона пытается сузить производный диапазон, используя все заданные диапазоны конструкции в модели. Чем больше информации о диапазоне проектирования вы указываете, тем больше вероятность успешного анализа диапазона. По мере выполнения анализа он получает новую информацию о диапазоне для модели, а затем пытается использовать эту новую информацию вместе с указанными диапазонами для получения диапазонов для остальных объектов в модели. По этой причине результаты анализа могут зависеть от приоритетов блоков, поскольку эти приоритеты определяют порядок, в котором программное обеспечение анализирует блоки.
Проектный диапазон для объектов модели задается с помощью таких параметров, как Минимум вывода (Output minimum) и Максимум вывода (Output maximum). Список блоков, в которых можно указать эти значения, см. в разделе Блоки, разрешающие спецификацию диапазона сигналов.
Для просмотра результатов моделирования с помощью инспектора данных моделирования необходимо включить ведение журнала сигналов для системы, которую требуется преобразовать в фиксированную точку. Можно распечатать результаты с помощью инспектора данных моделирования только для сигналов, для которых включено ведение журнала сигналов.
В редакторе Simulink выберите один или несколько сигналов.
На вкладке «Сигнал» редактора Simulink выберите «Регистрировать сигналы».
Можно заблокировать некоторые блоки от автоматического ввода данных, выбрав для блока параметр Блокировать тип выходных данных от изменений с помощью параметра инструментов с фиксированной точкой. При выборе этого параметра инструмент не предлагает типы данных для блока.
Обновите схему, чтобы выполнить проверку диапазона параметров для всех блоков в модели.
В случае сбоя обновления схемы используйте сообщения об ошибках для исправления ошибок в модели. После исправления ошибок обновите схему еще раз. Если устранить ошибки не удается, восстановите резервную модель.
Чтобы открыть инструмент Fixed-Point, в модели в галерее Apps выберите Инструмент Fixed-Point. В качестве альтернативы используйте fxptdlg функция.
В инструменте «Фиксированная точка» нажмите «Создать» и выберите Iterative Fixed-Point Conversion.

Выберите систему или подсистему, которую требуется преобразовать в фиксированную точку. Преобразуйте отдельные подсистемы в модели по одной. Эта практика облегчает отладку путем выделения источника числовых проблем.
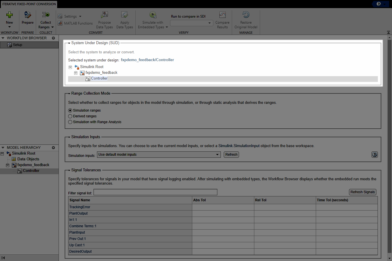
В основной рабочей области в разделе Система под проектированием (SUD) с помощью раскрывающегося меню выберите систему или подсистему, которую требуется преобразовать.

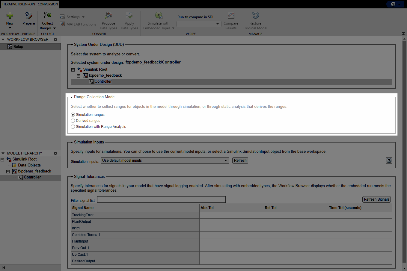
Можно собирать диапазоны с помощью моделирования, анализа производных диапазонов или с помощью моделирования в сочетании с анализом производных диапазонов. Используя сбор диапазонов на основе моделирования, инструмент Fixed-Point Tool может быть сконфигурирован для выполнения глобального переопределения типов данных с фиксированной точкой с двойной точностью или с одной точностью, что позволяет избежать эффектов квантования. Этот параметр обеспечивает эталонный тест с плавающей запятой, который представляет идеальный выход. Можно также собирать данные диапазона эталонных тестов, используя текущий набор переопределений типа данных в модели.
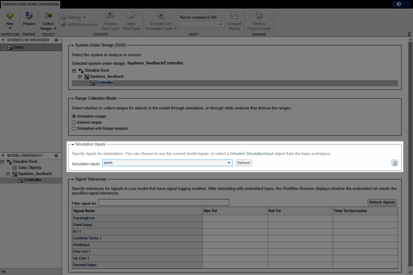
При сборе диапазонов с помощью моделирования можно задать дополнительные входные данные моделирования. Во время моделирования набора диапазонов инструмент Fixed-Point Tool фиксирует минимальное и максимальное значения из каждого заданного сценария моделирования. Дополнительные сведения см. в разделе Указание входных данных моделирования.
С помощью анализа производного диапазона инструмент «Фиксированная точка» использует проектные диапазоны, заданные для блоков, для анализа и получения статических диапазонов для других объектов модели. Инструмент использует всю информацию диапазона проектирования, указанную в модели, для получения диапазонов для объектов в проектируемой системе. При выборе сбора диапазонов для объектов в модели с помощью анализа производных диапазонов моделировать модель не требуется. Однако для сравнения поведения с плавающей и фиксированной точками с помощью инспектора данных моделирования требуется моделирование.
Используя моделирование с анализом дальности, инструмент «Фиксированная точка» использует объединение диапазонов, собранных с помощью моделирования и анализа производной дальности.
В разделе Режим сбора диапазонов выберите метод, который будет использоваться для сбора диапазонов. Инструмент Fixed-Point использует эти собранные диапазоны для последующего создания предложений по типу данных.
Дополнительные сведения о выборе метода сбора диапазонов для приложения см. в разделе Выбор метода сбора диапазонов.

При выборе функции сбора диапазонов с помощью моделирования необходимо указать входные данные моделирования для системы. В разделе Входные данные моделирования (Simulation Inputs) выберите, следует ли использовать входные данные модели по умолчанию для моделирования модели для сбора диапазонов, или выберите Simulink.SimulationInput из базовой рабочей области, чтобы указать один или несколько сценариев моделирования.
Если SimulationInput выбранный объект содержит более одного сценария моделирования, инструмент Fixed-Point Tool предлагает типы данных на основе объединенных диапазонов из всех сценариев моделирования. Поскольку предложения, предоставляемые инструментом Fixed-Point Tool, так же хороши, как и предоставленный испытательный стенд, полный набор входных сигналов, которые реализуют весь диапазон вашей конструкции, приведет к более точным предложениям по типу данных для вашей системы. Пример см. в разделе Предложение типов данных для объединенных диапазонов моделирования.

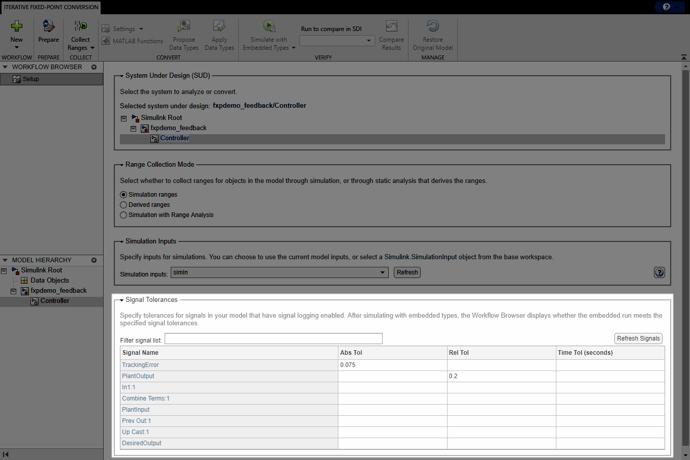
Можно указать абсолютные, относительные и временные допуски для сигналов в модели, для которых включено ведение журнала сигналов. После преобразования системы при моделировании встроенного прогона в браузере рабочего процесса отображается, соответствует ли встроенный прогон заданным допускам сигнала по сравнению с базовым прогоном, установленным при сборе диапазона. Графики сравнения можно просмотреть в инспекторе расчетных данных.
Задайте допуски сигнала в таблице в разделе Допуски сигнала (Signal Tolerances). Таблица содержит все сигналы в модели с включенным протоколированием сигналов. В полях справа от сигнала, для которого требуется зарегистрировать допуск, введите допуски для сигнала. Можно указать любой из следующих типов допусков.
Abs Tol - абсолютное значение максимально допустимой разности между исходным сигналом и сигналом в преобразованной конструкции.
Rel Tol - максимальная относительная разница, указанная в процентах, между исходным выходом и выходом новой конструкции. Например, значение 1e-2 указывает максимальную разницу в один процент между исходными значениями сигнала и значениями сигнала преобразованной конструкции.
Time Tol (сек.) - интервал времени, в котором максимальное и минимальное значения определяют верхнее и нижнее значения для сравнения.
Дополнительные сведения см. в разделе Указание поведенческих ограничений.

Нажмите кнопку «Подготовить». Инструмент Fixed-Point создает резервную версию модели и проверяет проектируемую систему и модель, содержащую проектируемую систему, на совместимость с процессом преобразования.
По возможности инструмент «Фиксированная точка» автоматически изменяет несовместимые параметры. В тех случаях, когда инструмент не может автоматически изменить настройки, он уведомляет пользователя об изменениях, которые необходимо внести вручную для успешного выполнения процесса преобразования. Дополнительные сведения о проверках подготовки см. в разделе Использование инструмента «Фиксированная точка» для подготовки системы к преобразованию.
Сведения о следующем шаге процесса преобразования см. в разделе Сбор диапазонов.